Piecza zastępcza jest ważna. W Gliwicach pomagają
Dobro i odpowiedni rozwój dzieci to jeden z kluczowych tematów, którymi zajmuje się miasto. Szczególną troską powinno otaczać dzieci pozbawione opieki biologicznych rodziców. Aby zapewnić im jak najlepsze wsparcie, Gliwice chcą zintensyfikować swoje działania. Dlatego niedawno powołany pełnomocnik prezydent Gliwic ds. wspierania rodziny i pieczy zastępczej zaprasza na spotkania dotyczące m.in. rodzicielstwa zastępczego.
XXII Gliwickie Dni Dziedzictwa Kulturowego. Poznaj historię Wilczego Gardła!
Czas na XXII Gliwickie Dni Dziedzictwa Kulturowego. Tegoroczna edycja wydarzenia, tradycyjnie organizowanego przez Muzeum w Gliwicach, odbędzie się od 20 do 22 września i skupi się na Wilczym Gardle – dzielnicy Gliwic, która ze względu na swoją historię i charakter, fascynuje i obrasta w miejskie legendy. Zaplanowano warsztaty, wykłady i… otwarcie nowej wystawy. Jest w czym wybierać!
Kosmetyki Avon od października w Rossmannie
Po raz pierwszy w historii kosmetyki Avon będą sprzedawane w drogeriach. Od października produkty tej marki Polacy kupią w Rossmannie. W 500 wybranych drogeriach oraz drogerii internetowej na: www.rossmann.pl klienci znajdą kultowe kosmetyki z trzech kategorii: pielęgnacja twarzy, makijaż i zapachy.
Studia pedagogiczne na platformie studia-online.pl – nowoczesna edukacja dla przyszłych nauczycieli
Nowe technologie są obecne niemal w każdej dziedzinie życia, a więc coraz częściej stosowane są także w edukacji. Nowoczesne metody nauczania uwzględniają zmieniające się potrzeby uczniów i są dostosowane do realiów współczesnego świata. W kontekście kształcenia nauczycieli studia licencjackie i studia pedagogiczne online odgrywają kluczową rolę, oferując elastyczność i dostępność dla szerokiego grona studentów. Zastanawiasz się, jakie możliwości daje ta ścieżka kariery? Dzisiaj weźmiemy na tapet właśnie tę kwestię.
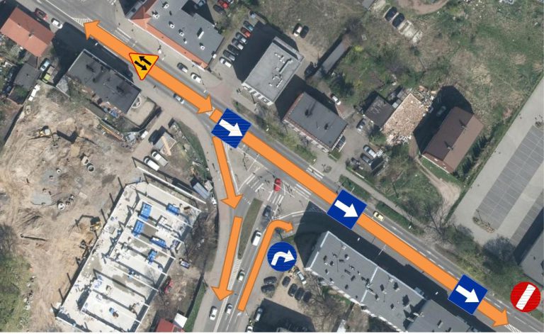
Duże zmiany w Łabędach. Rondo turbinowe i nowy układ drogowy
W perspektywie 3,5 roku mieszkańcy zyskają nowe rondo turbinowe i nowy układ drogowy, dostosowany do rozbudowanej stacji kolejowej w Łabędach i poszerzonego wiaduktu kolejowego w rejonie ul. Staromiejskiej. Będzie lepiej i bezpieczniej, co odczują nie tylko kierowcy, ale też piesi i rowerzyści. Warta prawie 40 mln zł miejska inwestycja, prowadzona w ścisłej koordynacji ze spółką PKP PLK, właśnie się zaczyna.
Trwa budowa ścieżki rowerowej do Czechowic. Jest już asfalt
Trwa budowa 5-kilometrowego traktu rowerowego wzdłuż ul. Toszeckiej nad jezioro Czechowickie. Postępy prac są widoczne zwłaszcza na odcinku od skrzyżowania z ul. Przyszowską w stronę „Czeszek”, na którym położono już kilkusetmetrową asfaltową nawierzchnię ścieżki. Roboty toczą się też intensywnie od krzyżówki ulic Toszeckiej i Przyszowskiej w kierunku zjazdu na teren Kąpieliska Leśnego.
Jak sprawdzić dokładność wagi elektronicznej w domu?
Jak sprawdzić dokładność wagi elektronicznej w domu?
Systemy klasy WMS – co warto wiedzieć?
Mówi się, że czas to pieniądz – ale w magazynie nie tylko czas stanowi niezwykle cenne aktywa. Towary, infrastruktura i odpowiednio realizowane procesy mają bowiem fundamentalne znaczenie w kontekście rentowności i sprawności całego magazynu. A optymalne zarządzanie magazynem trudno współcześnie wyobrazić sobie bez systemu WMS (Warehouse Management System). Co warto wiedzieć o magazynowym systemie informatycznym i dlaczego warto zdecydować się na wdrożenie systemu WMS?
Moda, za którą trudno nadążyć – czy luźne t-shirty wciąż cieszą się popularnością?
Koszulka, która nie przylega do ciała, była kiedyś uważana za jeden z najbardziej rozchwytywanych elementów garderoby. Co prawda moda na zbyt szeroką odzież odeszła do lamusa, jednak zamiłowanie do wygodnych t-shirtów pozostało. Czy wciąż możemy wykorzystywać luźne koszulki do tworzenia codziennych stylizacji?

